AN TOÀN VỀ NGƯỜI VÀ TÀI SẢN, CHUNG TAY ĐI QUA SIÊU BÃO

Trước tình hình diễn biến phức tạp của siêu bão, nhà trường rất mong Quý phụ huynh học sinh giữ gìn sức khỏe, theo dõi tình hình bão, sẵn sàng ứng phó và bảo vệ an toàn cho các bé cùng người thân

Mọi thông tin về lịch học của các con khi có thay đổi sẽ được thông báo trên Facebook nhà trường và qua zalo các nhóm lớp.

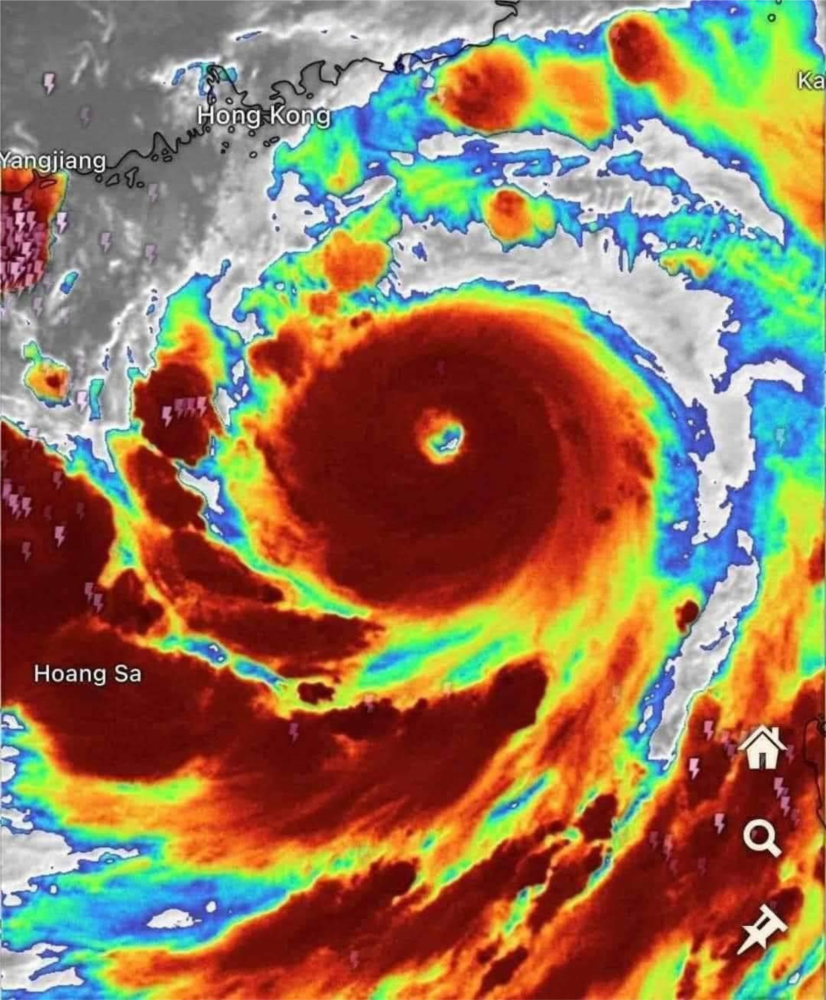
TIN BÃO KHẨN CẤP - BÃO SỐ 3

- Lúc 23 giờ ngày 5/9, vị trí tâm siêu bão ở vào khoảng 19,3 độ Vĩ Bắc; 113,8 độ Kinh Đông, trên vùng biển phía Bắc khu vực Bắc Biển Đông, cách đảo Hải Nam (Trung Quốc) khoảng 300km về phía Đông.
- Sức gió mạnh nhất vùng gần tâm siêu bão mạnh cấp 16 (184-201km/h), giật trên cấp 17.
- Di chuyển theo hướng Tây, tốc độ 15-20km/h.

Hiện vùng vành mây rìa xa của bão vẫn đang gây mưa to, gió mạnh, sét cho nhiều tỉnh thành.
Nguồn: VTV - Dự báo thời tiết